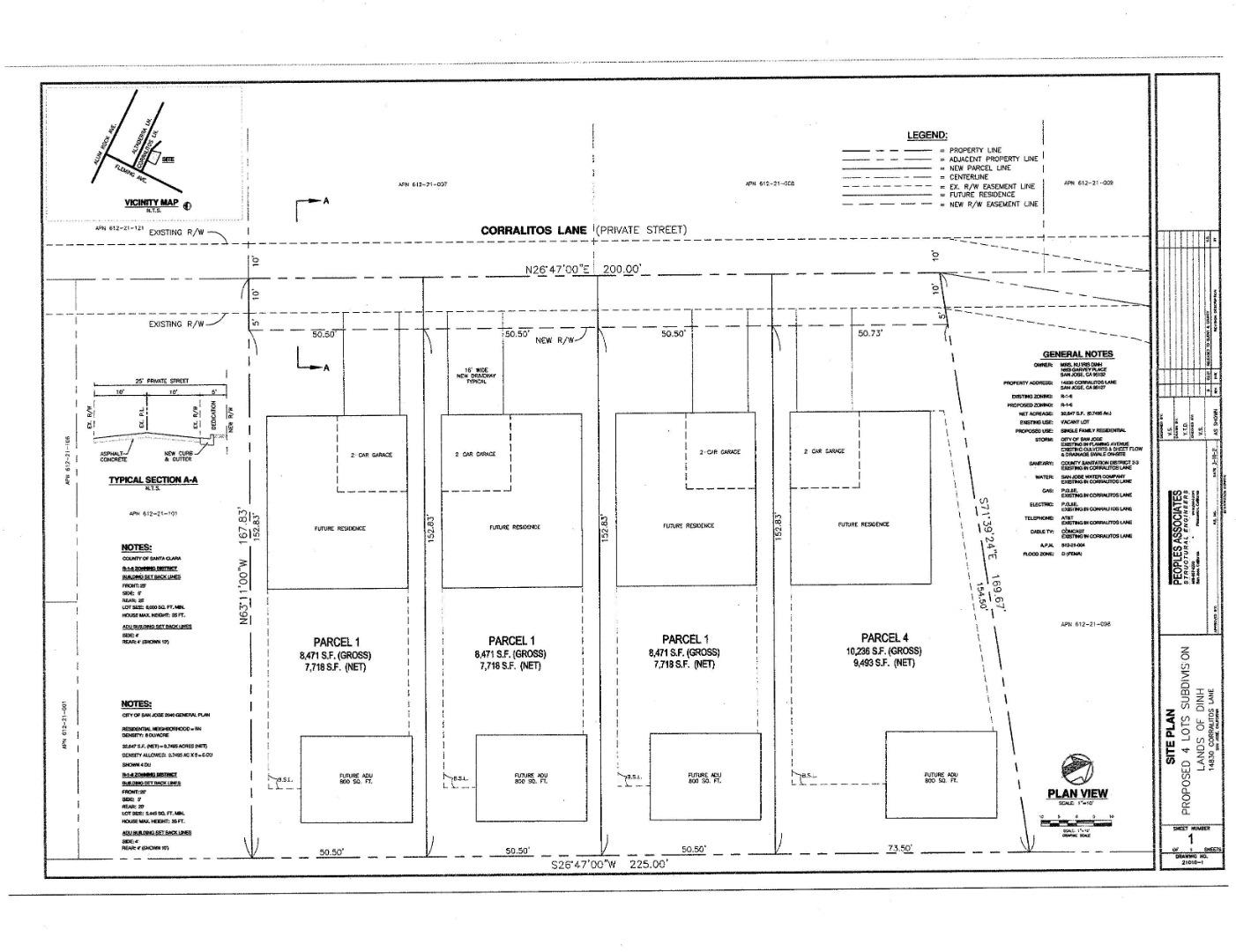
An application to subdivide the 37,230 sf (.7495 Ac.Net) lot into four parcels was returned 5/11/2021 The City of San Jose determined the proposed project of a four lot subdivision conforms to the prevailing existing neighborhood character and would be consistent with the City of San Jose's General Plan, thus granting an applicant to file for a final map - owner will not provide a final map. The Corralitos lot is adjacent to the San Jose Country Club neighborhood in the East foothills of San Jose just above Alum Rock. Very easy access - when driving up Alum Rock Avenue, turn right onto Fleming, the second street on your left side is Corralitos Lane. The lot is Surrounded by nicer homes. Substantial upside! Lots appear able to support ADU/guest unit, see photo of a proposed map a civil engineer drew identifying the possible location of 4 homes plus a location for the accessory structure.
MLS #
ML81844310
MLS Source
MLSListings, Inc.
Development Status
Final Map Pending, Final Map Required, Improvements - None, Lot Split Possible, Minor Subdivision (2-4 Parcels), No Site Approval, Preliminary Map, Subdivision - Possible
Existing Structures
None
Fencing
ChainLink, CompletePerimeter, MixedHeightType, NotSurveyed, Wood
Lot Description
Corners Marked - No, Grade - Gently Sloped
Present Use
Bare Land
Utilities
Available - Not On Site, Water - Public
Elementary District
Alum Rock Union Elementary
High School District
East Side Union High
Sewer
Public Sewer
Water
Public
Zoning
R1-6
Listing Agent
Will Klopp
Compass
License #: 01408811
Phone: (408) 483-2900
Co-Listing Agent
Keith Kanady
Compass
License #: 00953975
Phone: (408) 316-1666
14830 Corralitos Ln is in San Jose, CA 95127. This Land is currently priced at $1,050,000. This address can also be written as 14830 Corralitos Ln, San Jose, CA 95127.
©2026 MLSListings Inc. All rights reserved. All data, including all measurements and calculations of area, is obtained from various sources and has not been, and will not be, verified by broker or MLS. All information should be independently reviewed and verified for accuracy. Properties may or may not be listed by the office/agent presenting the information. Information provided is for personal, non-commercial use by the viewer and may not be redistributed without explicit authorization from MLSListings Inc.
Presently MLSListings.com displays Active, Contingent, Pending, and Recently Sold listings. Recently Sold listings are properties which were sold within the last three years. After that period listings are no longer displayed in MLSListings.com. Pending listings are properties under contract and no longer available for sale. Contingent listings are properties where there is an accepted offer, and seller may be seeking back-up offers. Active listings are available for sale.
This listing information is up-to-date as of January 29, 2026. For the most current information, please contact Will Klopp, (408) 483-2900